THÔNG BÁO ĐẤU GIÁ TÀI SẢN QUYỀN SỬ DỤNG ĐẤT Ở ĐỐI VỚI 09 THỬA ĐẤT TẠI ĐIỂM X7, THÔN NẠI CHÂU, XÃ YÊN LÃNG, THÀNH PHỐ HÀ NỘI

08:05 19/01/2026

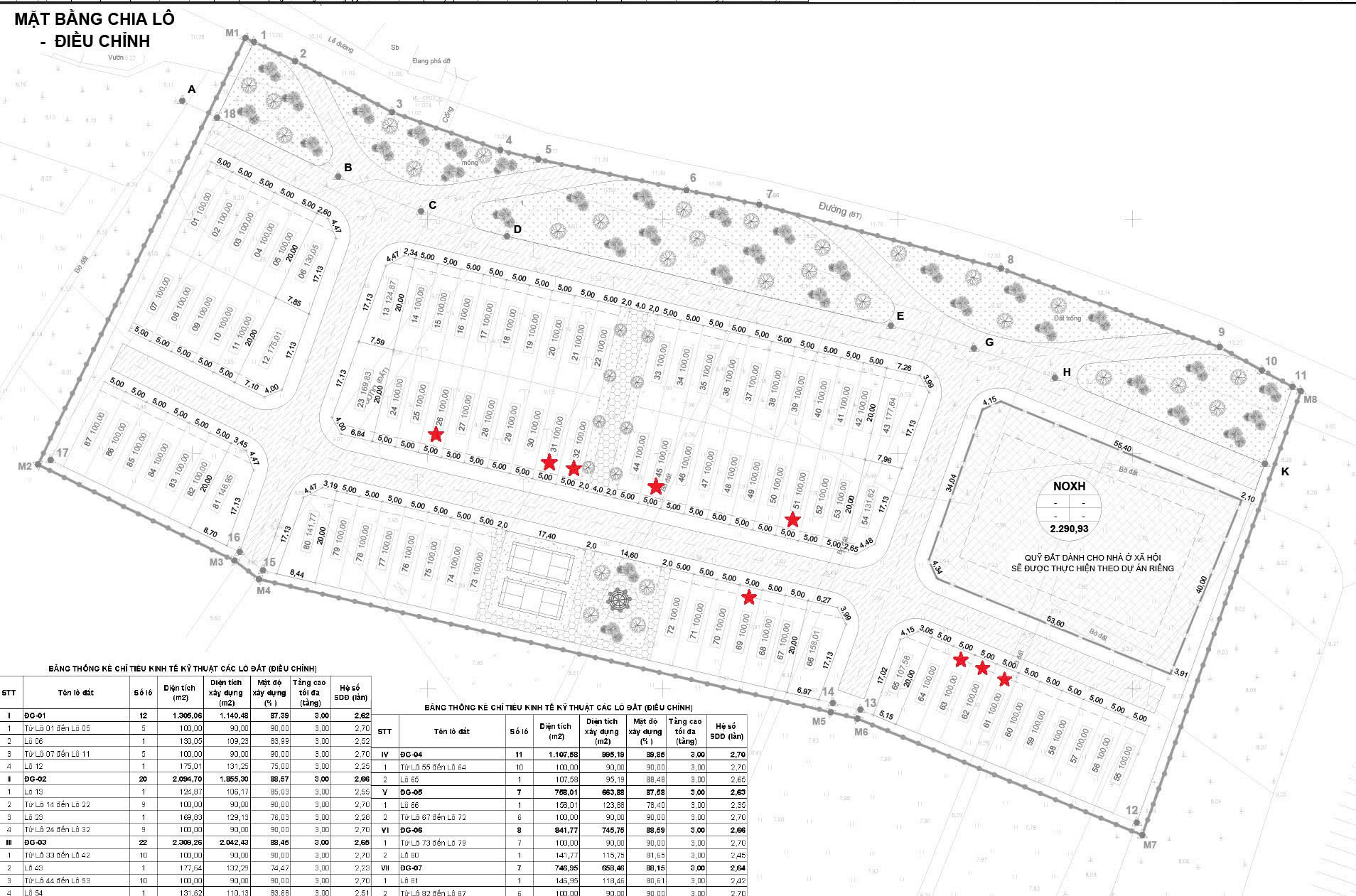
Ngày 19/01/2026, Công ty đấu giá hợp danh Đấu giá Việt Nam đã ban hành Thông báo số: 162/TB-ĐGVN Thông báo đấu giá tài sản Quyền sử dụng đất ở đối với 09 thửa đất tại điểm X7, thôn Nại Châu, xã Yên Lãng, thành phố Hà Nội (Thông báo đính kèm bên dưới).

Tin đọc nhiều

Yên Lãng họp giao ban quý I, triển khai trọng tâm quý II

12 giờ trước

Chiều 30/3 Đảng ủy xã Yên Lãng tổ chức hội nghị giao ban quý I năm 2026, triển khai các nhiệm vụ trọng tâm quý II năm 2026.

V/v công khai TTHC lĩnh vực bảo vệ môi trường thuộc thẩm quyền Chủ tịch UBND Thành phố ủy quyền cho Chủ tịch UBND cấp xã giải quyết

12 giờ trước

Ngày 31/3/2026, UBND xã Yên Lãng đã ban hành Văn bản số 695/UBND-VP về việc công khai TTHC lĩnh vực bảo vệ môi trường thuộc thẩm quyền Chủ tịch UBND Thành phố ủy quyền cho Chủ tịch UBND cấp xã giải quyết (văn bản đính kèm bên dưới).

V/v công khai danh mục TTHC lĩnh vực Quản lý đê điều và Phòng chống thiên tai, lĩnh vực Thủy lợi

12 giờ trước

Ngày 31/3/2026, UBND xã Yên Lãng đã ban hành Văn bản số 696/UBND-VP về việc công khai danh mục TTHC lĩnh vực Quản lý đê điều và Phòng chống thiên tai, lĩnh vực Thủy lợi (văn bản đính kèm bên dưới).

SỞ NÔNG NGHIỆP VÀ MÔI TRƯỜNG HÀ NỘI TRUNG TÂM KHUYẾN NÔNG

13 giờ trước

MỘT SỐ ĐIỀU CẦN BIẾT KHI VAY VỐN QUỸ KHUYẾN NÔNG

Thông báo công khai danh sách đối tượng đề nghị hỗ trợ mai táng phí theo Nghị quyết số 24/NQ-HĐND ngày 08/12/2022 của HĐND Thành phố Hà Nội (ông Phùng Ngọc Mỹ - TB 31%, BB 61%, CĐHH 61%)

18 giờ trước

Ngày 31/3/2026, UBND xã Yên Lãng đã ban hành Thông báo số 194/TB-UBND về việc công khai danh sách đối tượng đề nghị hỗ trợ mai táng phí theo Nghị quyết số 24/NQ-HĐND ngày 08/12/2022 của HĐND Thành phố Hà Nội (ông Phùng Ngọc Mỹ - TB 31%, BB 61%, CĐHH 61%) (văn bản đính kèm bên dưới).

Quyết định về việc phê duyệt phê duyệt phương án bồi thường, hỗ trợ di chuyển mộ (tiểu) phát sinh trong quá trình thi công dự án: Xây dựng tuyến đường nối đường 100 Trục trung tâm đô thị Mê Linh qua Bệnh viện Đa khoa

18:49 31/03/2026

Ngày 30/3/2026, UBND xã Yên Lãng đã ban hành Quyết định số 748/QĐ-UBND về việc phê duyệt phê duyệt phương án bồi thường, hỗ trợ di chuyển mộ (tiểu) phát sinh trong quá trình thi công dự án: Xây dựng tuyến đường nối đường 100 Trục trung tâm đô thị Mê Linh qua Bệnh viện Đa khoa huyện đến đường đê tả Sông Hồng, huyện Mê Linh (Đoạn thuộc xã Yên Lãng, thành phố Hà Nội) (văn bản đính kèm bên dưới).

Tin cùng chuyên mục
Xem theo ngày
Xem
HỒ SƠ MỜI THAM GIA ĐẤU GIÁ
HỒ SƠ MỜI THAM GIA ĐẤU GIÁ
Quyền sử dụng đất đối với 47 thửa đất tại điểm HK-04, thôn Hoàng Xá, xã Yên Lãng
14:47 18/03/2026
Thông báo lịch tiếp công dân ngày 12/3/2026 của đồng chí Bí thư Đảng ủy, Chủ tịch HĐND xã
Thông báo lịch tiếp công dân ngày 12/3/2026 của đồng chí Bí thư Đảng ủy, Chủ tịch HĐND xã
Ngày 06/3/2026, Đảng ủy xã Yên Lãng đã ban hành Thông báo số 196-TB/ĐU Thông báo lịch tiếp công dân ngày 12/3/2026 của đồng chí Bí thư Đảng ủy, Chủ tịch HĐND xã (Thông báo đính kèm bên dưới).
08:47 07/03/2026
Thông báo mời tham gia đấu giá quyền sử dụng đất đối với 40 thửa đất tại Điểm đấu giá HK-04 thôn Hoàng Xá, xã Yên Lãng
Thông báo mời tham gia đấu giá quyền sử dụng đất đối với 40 thửa đất tại Điểm đấu giá HK-04 thôn Hoàng Xá, xã Yên Lãng
Ngày 22/01/2026, Công ty Đấu giá Hợp danh Số 5 - Quốc gia đã ban hành thông báo số 45/2026/TB-ĐGS5 Thông báo mời tham gia đấu giá quyền sử dụng đất đối với 40 thửa đất tại Điểm đấu giá HK-04 thôn Hoàng Xá, xã Yên Lãng (Thông báo đính kèm bên dưới).
08:52 27/01/2026
Thông báo lịch tiếp công dân ngày 29/01/2026 của đồng chí Bí thư Đảng ủy, Chủ tịch HĐND xã
Thông báo lịch tiếp công dân ngày 29/01/2026 của đồng chí Bí thư Đảng ủy, Chủ tịch HĐND xã
Ngày 22/01/2026, Đảng ủy xã Yên Lãng đã ban hành Thông báo số 165-TB/ĐU Thông báo lịch tiếp công dân ngày 29/01/2026 của đồng chí Bí thư Đảng ủy, Chủ tịch HĐND xã (Thông báo đính kèm bên dưới).
08:00 23/01/2026
Thông báo kết quả lựa chọn Tổ chức đấu giá tài sản thực hiện đấu giá QSD đất đối với 87 thửa đất tại điểm HK-04, thôn Hoàng Xá, xã Yên Lãng, thành phố Hà Nội
Thông báo kết quả lựa chọn Tổ chức đấu giá tài sản thực hiện đấu giá QSD đất đối với 87 thửa đất tại điểm HK-04, thôn Hoàng Xá, xã Yên Lãng, thành phố Hà Nội
Ngày 22/01/2026, Ban quản lý Dự án đầu tư - hạ tầng xã Yên Lãng đã ban hành Thông báo số: 21/TB-BQLDA Thông báo kết quả lựa chọn Tổ chức đấu giá tài sản thực hiện đấu giá QSD đất đối với 87 thửa đất tại điểm HK-04, thôn Hoàng Xá, xã Yên Lãng, thành phố Hà Nội (Thông báo đính kèm bên dưới).
15:13 22/01/2026
Thông báo về việc lựa chọn Tổ chức đấu giá tài sản thực hiện đấu giá quyền sử dụng đất đối với 87 thửa đất tại điểm HK-04, thôn Hoàng Xá, xã Yên Lãng, thành phố Hà Nội
Thông báo về việc lựa chọn Tổ chức đấu giá tài sản thực hiện đấu giá quyền sử dụng đất đối với 87 thửa đất tại điểm HK-04, thôn Hoàng Xá, xã Yên Lãng, thành phố Hà Nội
Ngày 15/01/2026, Ban quản lý Dự án Đầu tư - hạ tầng xã Yên Lãng đã ban hành Thông báo số 15/TB-BQLDA về việc lựa chọn Tổ chức đấu giá tài sản thực hiện đấu giá quyền sử dụng đất đối với 87 thửa đất tại điểm HK-04, thôn Hoàng Xá, xã Yên Lãng, thành phố Hà Nội (Thông báo đính kèm bên dưới).
10:51 15/01/2026
Tin khác
Yên Lãng họp giao ban quý I, triển khai trọng tâm quý II
Yên Lãng họp giao ban quý I, triển khai trọng tâm quý II
Chiều 30/3 Đảng ủy xã Yên Lãng tổ chức hội nghị giao ban quý I năm 2026, triển khai các nhiệm vụ trọng tâm quý II năm 2026.
12 giờ trước
V/v công khai TTHC lĩnh vực bảo vệ môi trường thuộc thẩm quyền Chủ tịch UBND Thành phố ủy quyền cho Chủ tịch UBND cấp xã giải quyết
V/v công khai TTHC lĩnh vực bảo vệ môi trường thuộc thẩm quyền Chủ tịch UBND Thành phố ủy quyền cho Chủ tịch UBND cấp xã giải quyết
Ngày 31/3/2026, UBND xã Yên Lãng đã ban hành Văn bản số 695/UBND-VP về việc công khai TTHC lĩnh vực bảo vệ môi trường thuộc thẩm quyền Chủ tịch UBND Thành phố ủy quyền cho Chủ tịch UBND cấp xã giải quyết (văn bản đính kèm bên dưới).
12 giờ trước
V/v công khai danh mục TTHC lĩnh vực Quản lý đê điều và Phòng chống thiên tai, lĩnh vực Thủy lợi
V/v công khai danh mục TTHC lĩnh vực Quản lý đê điều và Phòng chống thiên tai, lĩnh vực Thủy lợi
Ngày 31/3/2026, UBND xã Yên Lãng đã ban hành Văn bản số 696/UBND-VP về việc công khai danh mục TTHC lĩnh vực Quản lý đê điều và Phòng chống thiên tai, lĩnh vực Thủy lợi (văn bản đính kèm bên dưới).
12 giờ trước
SỞ NÔNG NGHIỆP VÀ MÔI TRƯỜNG HÀ NỘI
TRUNG TÂM KHUYẾN NÔNG
SỞ NÔNG NGHIỆP VÀ MÔI TRƯỜNG HÀ NỘI TRUNG TÂM KHUYẾN NÔNG
MỘT SỐ ĐIỀU CẦN BIẾT KHI VAY VỐN QUỸ KHUYẾN NÔNG
13 giờ trước
Thông báo công khai danh sách đối tượng đề nghị hỗ trợ mai táng phí theo Nghị quyết số 24/NQ-HĐND ngày 08/12/2022 của HĐND Thành phố Hà Nội (ông Phùng Ngọc Mỹ - TB 31%, BB 61%, CĐHH 61%)
Thông báo công khai danh sách đối tượng đề nghị hỗ trợ mai táng phí theo Nghị quyết số 24/NQ-HĐND ngày 08/12/2022 của HĐND Thành phố Hà Nội (ông Phùng Ngọc Mỹ - TB 31%, BB 61%, CĐHH 61%)
Ngày 31/3/2026, UBND xã Yên Lãng đã ban hành Thông báo số 194/TB-UBND về việc công khai danh sách đối tượng đề nghị hỗ trợ mai táng phí theo Nghị quyết số 24/NQ-HĐND ngày 08/12/2022 của HĐND Thành phố Hà Nội (ông Phùng Ngọc Mỹ - TB 31%, BB 61%, CĐHH 61%) (văn bản đính kèm bên dưới).
18 giờ trước
Quyết định về việc phê duyệt phê duyệt phương án bồi thường, hỗ trợ di chuyển mộ (tiểu) phát sinh trong quá trình thi công dự án: Xây dựng tuyến đường nối đường
100 Trục trung tâm đô thị Mê Linh qua Bệnh viện Đa khoa
Quyết định về việc phê duyệt phê duyệt phương án bồi thường, hỗ trợ di chuyển mộ (tiểu) phát sinh trong quá trình thi công dự án: Xây dựng tuyến đường nối đường 100 Trục trung tâm đô thị Mê Linh qua Bệnh viện Đa khoa
Ngày 30/3/2026, UBND xã Yên Lãng đã ban hành Quyết định số 748/QĐ-UBND về việc phê duyệt phê duyệt phương án bồi thường, hỗ trợ di chuyển mộ (tiểu) phát sinh trong quá trình thi công dự án: Xây dựng tuyến đường nối đường 100 Trục trung tâm đô thị Mê Linh qua Bệnh viện Đa khoa huyện đến đường đê tả Sông Hồng, huyện Mê Linh (Đoạn thuộc xã Yên Lãng, thành phố Hà Nội) (văn bản đính kèm bên dưới).
18:49 31/03/2026
Quyết định về việc thu hồi đất của hộ ông (bà) Lê Văn Phú (Lê Văn Phong trú tại Xóm 9, thôn 2, xã Yên Lãng để thực hiện dự án Trung tâm Văn hoá - Thể thao
Quyết định về việc thu hồi đất của hộ ông (bà) Lê Văn Phú (Lê Văn Phong trú tại Xóm 9, thôn 2, xã Yên Lãng để thực hiện dự án Trung tâm Văn hoá - Thể thao
Ngày 30/3/2026, UBND xã Yên Lãng đã ban hành Quyết định số 739/QĐ-UBND về việc thu hồi đất của hộ ông (bà) Lê Văn Phú (Lê Văn Phong trú tại Xóm 9, thôn 2, xã Yên Lãng để thực hiện dự án Trung tâm Văn hoá - Thể thao xã Thạch Đà, huyện Mê Linh (Nay là xã Yên Lãng, thành phố Hà Nội) (văn bản đính kèm bên dưới).
18:42 31/03/2026
Quyết định về việc thu hồi đất của hộ ông (bà) Nguyễn Thị Thường (Đỗ Văn Tư) tại thôn Yên Thị, xã Yên Lãng để thực hiện dự án: Xây dựng cổng, tường rào, sân vườn và hệ thống chiếu sáng nhà Văn hoá thôn Yên Thị, thôn Yên Giáp
Quyết định về việc thu hồi đất của hộ ông (bà) Nguyễn Thị Thường (Đỗ Văn Tư) tại thôn Yên Thị, xã Yên Lãng để thực hiện dự án: Xây dựng cổng, tường rào, sân vườn và hệ thống chiếu sáng nhà Văn hoá thôn Yên Thị, thôn Yên Giáp
Ngày 30/3/2026, UBND xã Yên Lãng đã ban hành Quyết định số 738/QĐ-UBND về việc thu hồi đất của hộ ông (bà) Nguyễn Thị Thường (Đỗ Văn Tư) tại thôn Yên Thị, xã Yên Lãng để thực hiện dự án: Xây dựng cổng, tường rào, sân vườn và hệ thống chiếu sáng nhà Văn hoá thôn Yên Thị, thôn Yên Giáp, xã Tiến Thịnh, huyện Mê Linh (nay là xã Yên Lãng, Thành phố Hà Nội) (văn bản đính kèm bên dưới).
18:36 31/03/2026
Quyết định về việc thu hồi đất của hộ ông (bà) Hồ Văn Thanh tại thôn Yên Thị, xã Yên Lãng để thực hiện dự án: Xây dựng cổng, tường rào, sân vườn và hệ thống chiếu sáng nhà Văn hoá thôn Yên Thị, thôn Yên Giáp
Quyết định về việc thu hồi đất của hộ ông (bà) Hồ Văn Thanh tại thôn Yên Thị, xã Yên Lãng để thực hiện dự án: Xây dựng cổng, tường rào, sân vườn và hệ thống chiếu sáng nhà Văn hoá thôn Yên Thị, thôn Yên Giáp
Ngày 30/3/2026, UBND xã Yên Lãng đã ban hành Quyết định số 737/QĐ-UBND về việc thu hồi đất của hộ ông (bà) Hồ Văn Thanh tại thôn Yên Thị, xã Yên Lãng để thực hiện dự án: Xây dựng cổng, tường rào, sân vườn và hệ thống chiếu sáng nhà Văn hoá thôn Yên Thị, thôn Yên Giáp, xã Tiến Thịnh, huyện Mê Linh (nay là xã Yên Lãng, Thành phố Hà Nội) (văn bản đính kèm bên dưới).
18:30 31/03/2026
Quyết định về việc thu hồi đất của hộ ông (bà) Nguyễn Thị Cún tại thôn Yên Thị, xã Yên Lãng để thực hiện dự án: Xây dựng cổng, tường rào, sân vườn và hệ thống chiếu sáng nhà Văn hoá thôn Yên Thị, thôn Yên Giáp
Quyết định về việc thu hồi đất của hộ ông (bà) Nguyễn Thị Cún tại thôn Yên Thị, xã Yên Lãng để thực hiện dự án: Xây dựng cổng, tường rào, sân vườn và hệ thống chiếu sáng nhà Văn hoá thôn Yên Thị, thôn Yên Giáp
Ngày 30/3/2026, UBND xã Yên Lãng đã ban hành Quyết định số 736/QĐ-UBND về việc thu hồi đất của hộ ông (bà) Nguyễn Thị Cún tại thôn Yên Thị, xã Yên Lãng để thực hiện dự án: Xây dựng cổng, tường rào, sân vườn và hệ thống chiếu sáng nhà Văn hoá thôn Yên Thị, thôn Yên Giáp (văn bản đính kèm bên dưới).
18:25 31/03/2026